3/23ガイドブログ『今日はマンツーマンで!60分3本です〜』
お天気:晴れ 風:南東4m 気温:24℃ 水温:25℃
どもっ!ゆーきです!!
最近チャットGPTになんでも相談しがちな僕です。
しょーもないことから真面目なことまで、、、。
AIやし頼りすぎるのもなぁ。とも思うんですが時代はAIですね。
ちょっとした文章作成に画像作成、この前はQRコードも作ってくれました。
優秀やなぁ〜。ハマるなぁ〜。笑

ありがたい天気と海況が続いております〜。水温も25度台に!
ありがたや〜〜。
今日はHさんとネチネチマクロダイブです。
僕も甘えさせてもらってちゃっかりカメラ持って入らせてもらいました〜

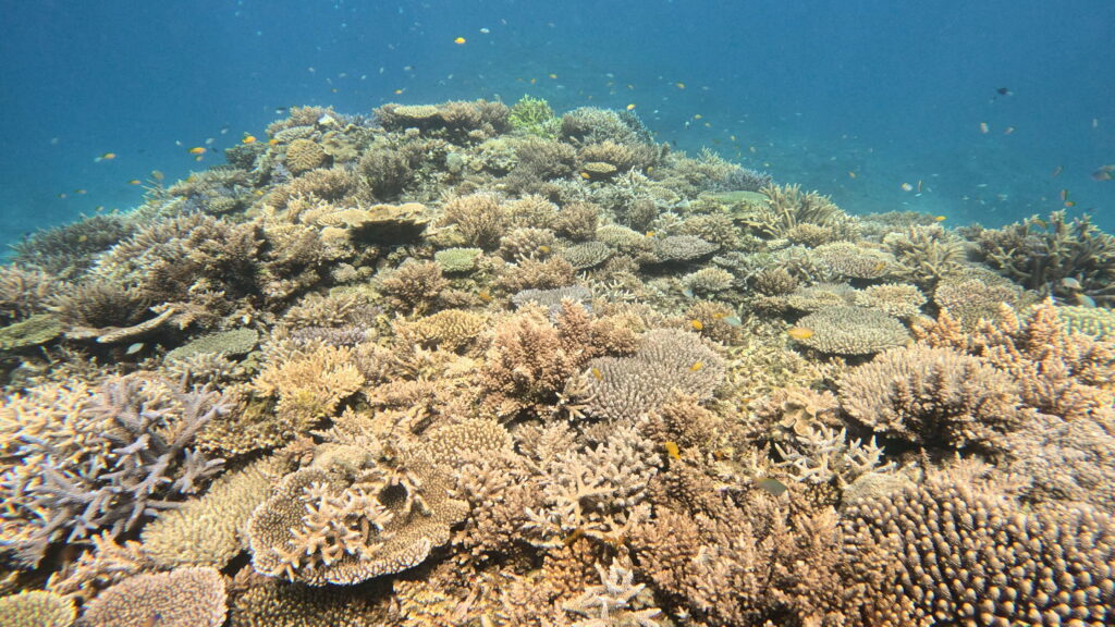
ほんまにサンゴが綺麗なポイントなんですわ!

夏の鉄板にしたい!

いつもなんでも撮っていただいてありがとうございます!

ちっこい〜目玉焼き柄がかわいい!目があるんわかりますか〜?

じーっと大人しく止まってくれた!撮りやすい!!

今日はよく見つかった!昔は見たいウミウシランキング上位やったな笑

今日は幼魚春物探し!まだまだ数は少ないですが、出てきてるので
これからが楽しみですね〜

幼魚幼稚園や!!!

紫のアイラインが綺麗やなぁ〜。チビめっちゃ増えてますよ!
普通におるけど小さいのはやっぱり可愛いよね!

石垣島じゃザ・普通種です。内地にはほぼいないって聞いてから
急に尊く感じた子です笑

今日一番シャッター切ったんじゃないか?
イソハゼとのサイズ感伝われ!

なんと今日はいないと思って諦めて上がる時に見つけた!笑
26mにおるとは思わんよ笑
なんか口から吐いたし!

がぉ!!

浅瀬でヒレ全開を見て追いかける。
この子はちょっと背鰭が強そうや!
今日は生き物の名前写真のキャプションにしてみたけど
検索ワードでひっかかるかな?
こっちのが読みやすいかな?
チャットGPTに相談しよ笑
いつも読んでくれてる方もぜひ教えてくださいね!
今日もほんまにみーふぁいゆー!!
投稿者プロフィール

最新の投稿
ガイドブログ2026年4月10日4/10ガイドブログ『久しぶりの海』
ガイドブログ2026年3月26日3/26ガイドブログ『穏やかな1日〜』
ガイドブログ2026年3月24日3/24ガイドブログ『落ち着いてきている石垣島』
ガイドブログ2026年3月23日3/23ガイドブログ『今日はマンツーマンで!60分3本です〜』



